2026-04-12 HaiPress

辛樂克颱風預計對台灣、日本沒有直接影響。(圖/天氣職人-吳聖宇 臉書)
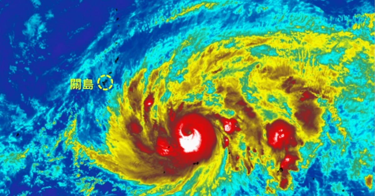
今年第4號颱風辛樂克(SINLAKU)持續增強!天氣風險公司資深顧問吳聖宇指出,辛樂克清晰的颱風眼已經浮現,已快達到強烈颱風等級。「氣象應用推廣學會」專欄提醒,辛樂克將會在日本南方海面進行「大迴轉」,對台、日皆無直接影響,另全台今日受南方氣團影響熱如盛夏,南台灣高溫上看36度。
吳聖宇指出,辛樂克未來的暴風半徑可能擴張至380公里。雖然路徑顯示「關島似乎避過了被正面侵襲的威脅」,但受其廣大環流影響,當地的風雨預期仍會相當顯著。
「氣象應用推廣學會」專欄則預估,颱風今(12日)晚20時增強為強颱。預計颱風將在向關島方向推進後,於日本南方海面「大迴轉」。儘管迴轉具體位置仍有不確定性,但距離台灣及日本皆相當遙遠,完全符合4月颱、不侵台」的氣候資料特性。
台灣今日到周二(14日)受偏強南方氣團影響,整體天氣晴朗穩定,清晨易出現霧,白天則熱如夏,北部高溫約34度、中部34度、南部36度、東部35度。外出務必注意防曬。
周三、周四(15、16 日)有微弱鋒面在北部海面徘徊,僅北台灣高溫微降、偶有局部短暫降雨。周五(17日)微弱鋒面正式掠過,屆時北部與東半部轉為有局部短暫降雨的機率。

全台高溫炎熱。(圖/氣象署)
週末期間(18日、19 日)天氣預計再度好轉,僅午後山區有局部短暫陣雨。然而到了下週一、二(20日、21 日),受華南水氣移入,大氣將轉為不穩定影響,全台雲量增多且午後有局部陣雨機率。不過預報目前仍有不確定性,民眾應隨時留意最新天氣訊息。

未來一週降雨機率略為增加。(圖/氣象署)